0 Washington Highway, Ashland, VA 23005 (MLS # 2600783)

Price $1,250,000
Status Active
Size n/a
Lot Size 3.47 ac
Days on Market 14
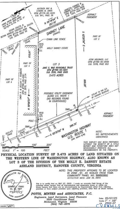
Commerical property with 3.473 acres and 286' frontage on Washington HWY just south of the new Flag Stop Car Wash and Sheetz near the corner of Washington HWY and Ashcake Rd. Property is 600' deep and is between Manchester Hydraulics and Flay Stop Car Wash and is rectangular in shape. RR1 Zoning see attached list for the uses that are granted by right. Recent survey by Potts and Minter with all 4 corners marked. This located in an area of mixed use with Hanover County Services located directly across from this property. This is an area that is moving up and being developed!
Property Type(s): Commercial
Last Updated 1/10/2026 Year Built 2026
Community 36 - Hanover County Hanover

Additional Details

AREA 36 - Hanover
INTERIOR MultiTenant
LOT 3.47 acre(s)

Location

 

Contact us about this Property

 / 
We respect your online privacy and will never spam you. By submitting this form with your telephone number you are consenting for Realty Richmond to contact you even if your name is on a Federal or State "Do not call List".

Listed with Long & Foster REALTORS

All or a portion of the multiple Listing information is provided by the Central Virginia Regional Multiple Listing Service, LLC, from a copyrighted compilation of Listings. All CVR MLS information provided is deemed reliable but is not guaranteed accurate. The compilation of Listings and each individual Listing are ©2026 Central Virginia Regional Multiple Listing Service, LLC. All rights reserved.

IDX information is provided exclusively for consumers’ personal, non-commercial use, that it may not be used for any purpose other than to identify prospective properties consumers may be interested in purchasing

Last Updated: 1/23/26 12:11 AM PST

This IDX solution is (c) Diverse Solutions 2026.

Email a Friend
Skip to content